Заслуженный враг садоводов
Внимание: селезенки орудий ложнощитовок на вашей растительности! Эти вредители наносят серьёзный ущерб урожаям, прячась под маской безобидных обитателей флоры. В нынешней статье рассказывается о хитростях ложнощитовок, их вреде и методах борьбы с ними, пишет Дзен-канал "7 дач".
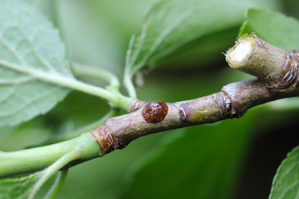
Приметы и места обитания
Ложнощитовки — это коварные создания, демонстрирующие явный половой диморфизм. Самки достигают 3-6 мм в длину и могут быть разных оттенков — от красно-коричневого до зелено-жёлтого. Они могут маскироваться, и их трудно заметить на растениях. Самцы же значительно меньше, и благодаря наличию крыльев способны перемещаться между растениями. Эти вредители можно встретить в разных регионах, но особенно активны они в Центрально-Черноземном и Поволжском регионах, где атакуют плодовые культуры и декоративные растения.
Например, акациевая ложнощитовка везде оставляет за собой испорченные плоды. Мягкие ложнощитовки преимущественно действуют на юге, поражая как тропические, так и субтропические виды. Также они находят себе укрытие в теплицах и зимних садах.
Методы борьбы с ложнощитовками
Борьба с этими вредителями начинается с профилактики. Параметры вашей окружающей среды играют критическую роль, чтобы сохранить растения в хорошем состоянии. Регулярная санитарная обработка обеспечивает жизнь без вредителей. Рекомендации включают:
- Очистка деревьев от старой коры, чтобы снизить шансы на зимовку личинок;
- Опрыскивание растений средствами на основе вазелинового масла, как «Профилактин Лайт» или «Профилактин Био», до распускания почек.
Эти препараты обволакивают вредителей и блокируют доступ кислорода, вызывая их удушье. Летом можно использовать «Пиноцид», мощный инсектицид, чтобы избавиться от ложнощитовок. Он работает проникая в ткани растений и делает их токсичными для насекомых.
Наблюдение за растениями и своевременные действия — ключ к успешной борьбе с ложнощитовками. Своевременно применяя указанные меры, можно сохранить свои садовые культурные угодья в безопасности и здоровье.































